Kolejne przedsięwzięcie, które będzie realizowane w ramach projektu „Zielona przestrzeń – rozwój i modernizacja terenów zieleni w Mieście Ząbki” współfinansowanego ze środków Narodowego Funduszu Ochrony Środowiska i Gospodarki Wodnej.
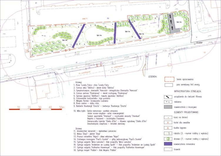
W celu zwiększenia estetyki i wartości ekologicznej rejonu ulicy Powstańców podjęto decyzję o wzięciu w dzierżawę przez Miasto Ząbki działek zlokalizowanych na wysokości centrum handlowego przy ulicy Powstańców przy skrzyżowaniu z ulicą Reymonta. Jest to teren trudny do zagospodarowania ze względu na przebiegającą nad nim linię wysokiego napięcia. Uniemożliwia ona wykorzystanie go na cele rekreacyjne, poza istniejącą już siłownią zewnętrzną. Jednak uzyskaliśmy zgodę zarządcy linii wysokiego napięcia na wykonanie nasadzeń. Poniżej przedstawiamy Państwu wstępną koncepcję wraz z jej wizualizacją. Realizacja projektu nastąpi najpóźniej na wiosnę 2021 roku.

Więcej informacjo o tym co dzieje się w Ząbkach
Ząbki – MAZOPIŁKA CUP 2026 – TURNIEJ PIŁKI NOŻNEJ DLA DZIECI
21 marca, Ząbki ponownie staną się miejscem sportowych emocji najmłodszych. Patronat nad turniejem objęła Małgorzata Zysk Burmistrz Miasta Ząbki, co podkreśla znaczenie wydarzenia dla
[...]
0 komentarzy
Ząbki – Przy ul. Prusa 3/5 powstaje pierwszy samorządowy żłobek
Na placu budowy widać kolejne efekty – powstaje elewacja budynku w ciepłych barwach, które nadadzą budynkowi radosny charakter. Nowa placówka będzie miejscem przyjaznym
[...]
0 komentarzy
Ząbki – Agnieszka Żelska gościem Małgorzaty Zyśk Burmistrza Miasta
Gościem Małgorzaty Zyśk Burmistrza Miasta Ząbki była Agnieszka Żelska. Właścicielka salonu bielizny Kusicielka oraz aktywna działaczka w Ząbkach. To wieloletnia organizatorka wyjątkowych spotkań
[...]
0 komentarzy
Realne podniesienie poziomu bezpieczeństwa mieszkańców powiatu wołomińskiego
26 lutego 2026 roku Komenda Powiatowa Państwowej Straży Pożarnej w Wołominie nieodpłatnie przekazała kilkadziesiąt sztuk czujek tlenku węgla oraz dymu do dwóch ośrodków
[...]
0 komentarzy
Referat Oświaty UM Ząbki poszukuje pracownika
Jeśli chcesz pracować na rzecz edukacji i lokalnej społeczności, dołącz do naszego zespołu! Szukamy osób zaangażowanych, otwartych na wyzwania i gotowych wspierać rozwój
[...]
0 komentarzy
Ząbki – Pierwsze wizualizacje ogrodu biocenotycznego „Mała Ojczyzna”
Ząbkowski ratusz otrzymał y pierwsze dwie wizualizacje do projektu „Ogród biocenotyczny na terenie Miasta Ząbki pn. Mała Ojczyzna”, który powstanie przy ul. Herberta.
[...]
0 komentarzy
Oferta pracy w Urzędzie Miasta Ząbki
Burmistrz Miasta Ząbki ogłasza nabór na stanowisko w Biurze Strefy Płatnego Parkowania. Szczegółowe informacje dotyczące wymagań, zakresu obowiązków oraz sposobu aplikowania dostępne są
[...]
0 komentarzy
Pożar lasu przy ul. Żołnierskiej. Ogień pojawił się wśród drzew – strażacy z Ząbek i Wołomina zatrzymali go w zarzewiu
Niebezpieczna sytuacja miała miejsce w poniedziałek 16 marca w rejonie ulicy Żołnierskiej. W godzinach popołudniowych służby ratunkowe zostały zaalarmowane o pożarze lasu. Ogień
[...]
0 komentarzy
Od poniedziałku przywrócenie stałych trasy Z2M, Z4M i 199, duże utrudnienia drogowe związane z budową w Rembertowie tunelu już od niedzieli
Kończy się rozpoczęty w listopadzie ubiegłego roku remont fragmentu ul. Paderewskiego w Rembertowie w Warszawie. Linia 199 od niedzieli 15 marca oraz linie
[...]
0 komentarzy
Oferta praca w UM w Ząbkach
Referat Funduszy Zewnętrznych i Rozwoju poszukuje pracownika! Trwa nabór na stanowisko inspektor lub główny specjalista w Referacie Funduszy Zewnętrznych i Rozwoju w Urzędzie
[...]
0 komentarzy
