Dogodne warunki pogodowe pozwalają na rozwinięcie frontu robót na toczących się na terenie miasta inwestycjach drogowych.
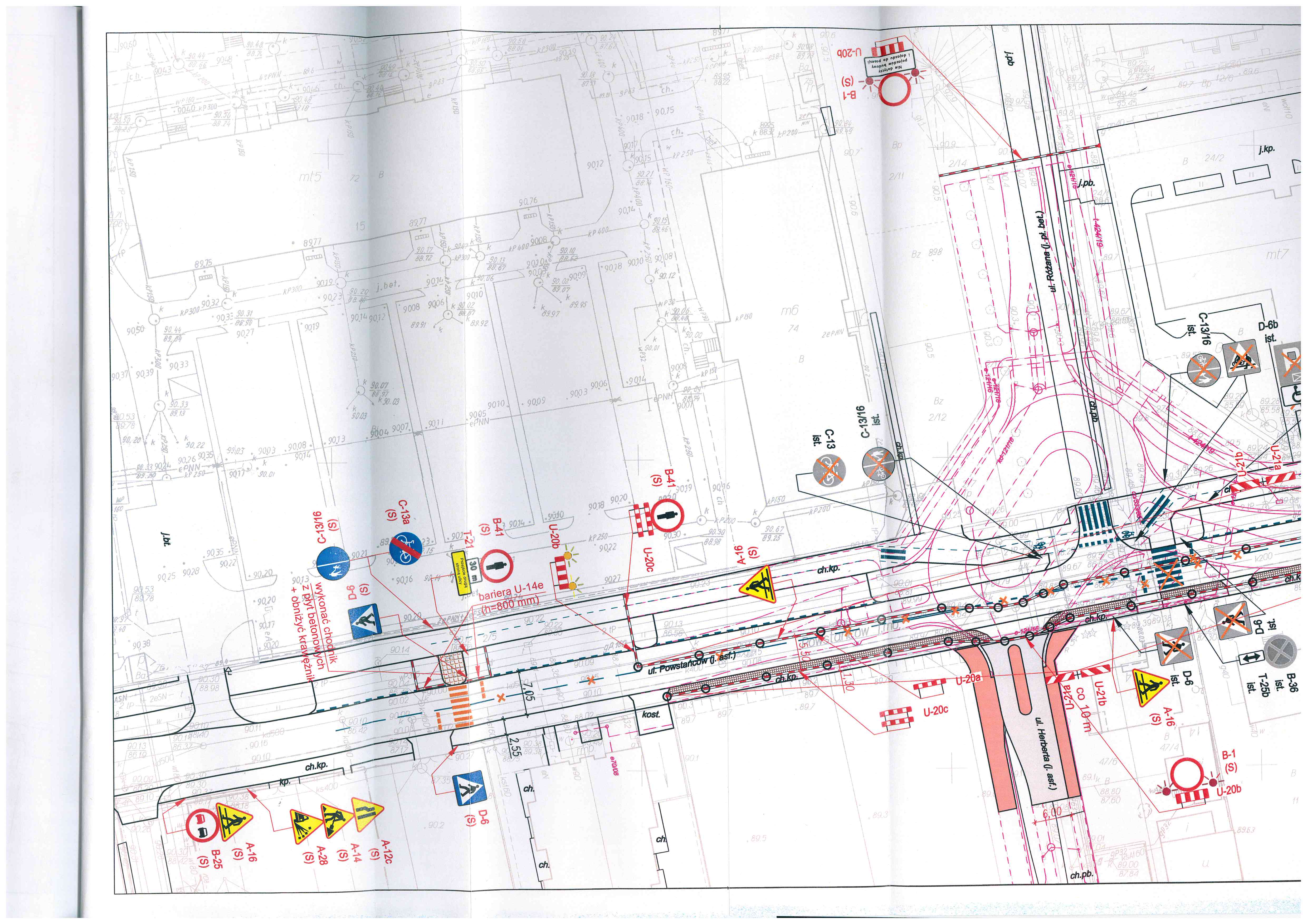
Firma KROL wykonawca budowy ul. Herberta poinformowała o wdrożeniu czasowej organizacji ruchu nr zatwierdzenia WID.7120.2.1186.2019.JK, niezbędnej do wykonania nowego ronda na ul. Powstańców. Skrzyżowanie o ruchu okrężnym o wydłużonym kształcie połączy ulicę Powstańców, z wybudowaną ul. Hertberta i nową ul. Różaną na budowę której w ostatnich dniach został ogłoszony przetarg.
Obecny etap prac zakłada zachowanie przejezdności ul. Powstańców w obu kierunkach, umożliwienie ruchu pieszego tylko po stronie południowej ul. Powstańców, wyłączenie z użytku fragmentu ścieżki rowerowej i części zatok parkingowych.
Prosimy o zachowanie szczególnej ostrożności, zwracanie uwagi na nowe oznakowanie oraz innych uczestników ruchu.
Wykonawca zwraca się o pilne usunięcie parkujących pojazdów, które uniemożliwiają wykonanie części zaplanowanych prac.
Dojazd do posesji przy ul. Herbera będzie możliwy ul. Nowo-projektowaną.
Dojazd do posesji przy ul. Różanej jest możliwy ul. Andersena od strony ul. Reymonta lub Dzikiej.
Podczas wszystkich etapów prac zostanie zachowana przejezdność w ciągu ul. Powstańców, trasy linii autobusowych nie będą zmieniane.
Do pobrania Herbera_Rozana.pdf
